The Auction Way Company

The Auction Way Company Auctions
Property Details

Celestial Render Road

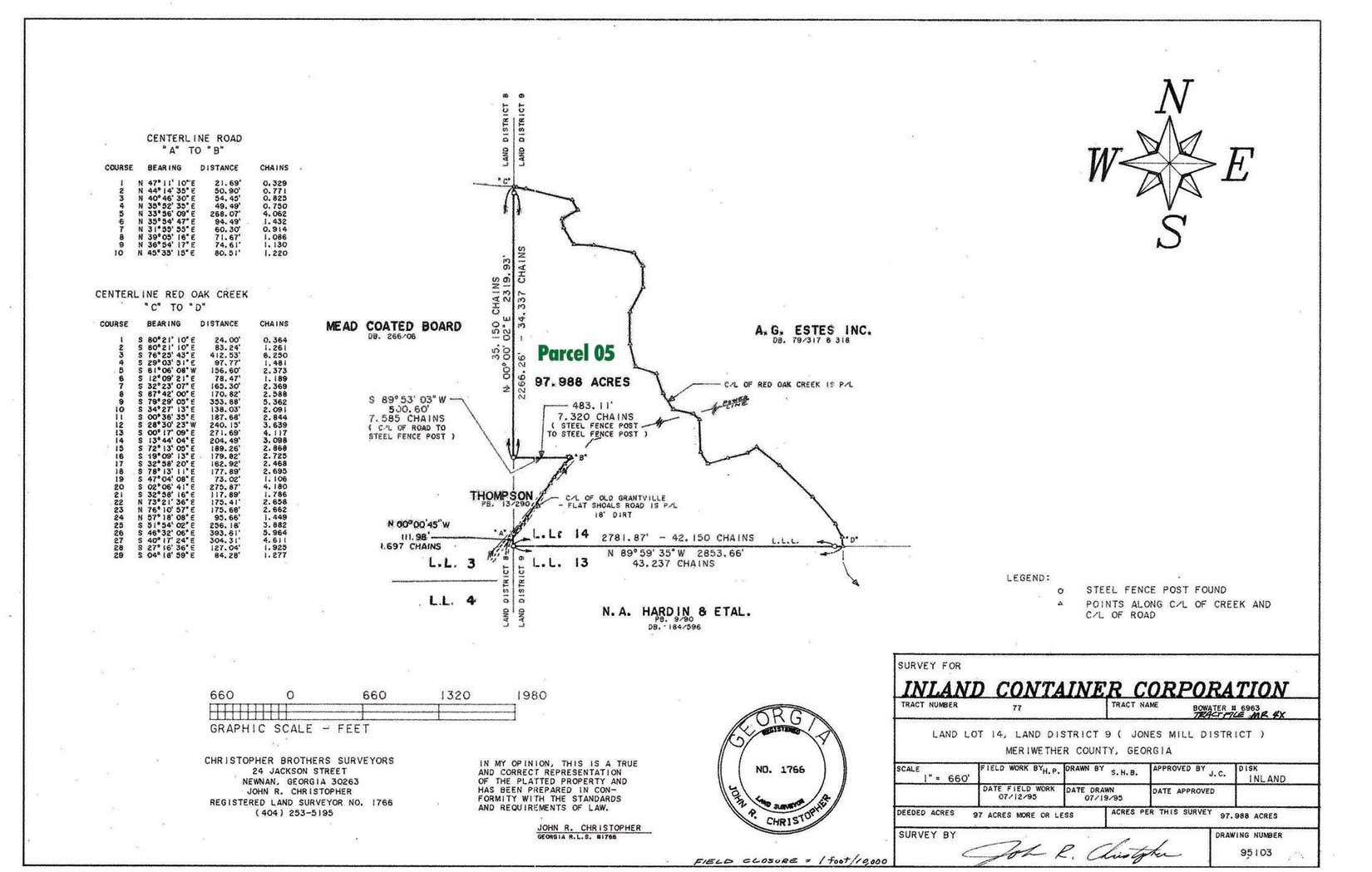
97.988 acres in Meriwether County near Gay. 826.18 feet of frontage on old Grantville - Flat Shoals Road, an 18' wide dirt road. 5,373 +/- feet on Red Oak Creek make up the entire north and east boundary, mature loblolly pines with hardwoods along the creek. 2011 taxes $2,361, zoned A1. Directions: From Gay go west on Greenville St (Gay Road) 2.6 miles. Turn left on Jones Mill Road, go 0.9 miles, turn left on Celestial Render Road, road dead ends into property.

Click here for the Plat


Click here for the Google Map













INFORMATION / APPOINTMENTS
www.theauctionway.com
800.482.0775 (24/7)
SALE SITE PERSONAL AND CELL PHONES: Morgan Marlowe 706.315.8260, Gerald Bowie 706.302.0302, Penny Bowie 770.328.1480,

BOWERS AND BURNS
www.bowersandburns.com
Buddy Burns 770.301.8871; Sam Bowers 770.301.7445

The Auction Way Company
Gerald A. and G. Mark Bowie
PO Box 1663-7A New Airport Road
LaGrange, Georgia 30240
Office 706.884.3062

All of the information in this brochure or any other advertisements was furnished to us by sources believed to be reliable, but is not guaranteed.